There are holes on the ocean floor and scientists don't know why
Sign up now: Get ST's newsletters delivered to your inbox

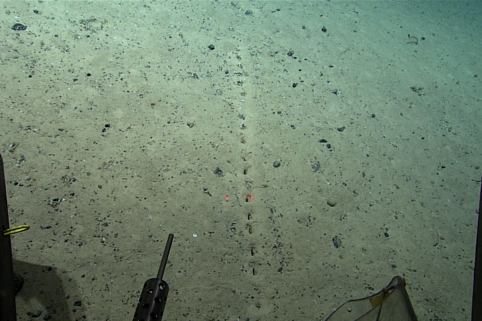
An image provided by NOAA shows mysterious holes in sediment during an exploration of a volcano in the Mid-Atlantic Ridge, on July 23, 2022.
PHOTO: NYTIMES
NEW YORK (NYTIMES) - Deep in the waters along a volcanic ridge in the bottom of the Atlantic Ocean, sea explorers using a remotely operated vehicle to examine largely unexplored areas found a pattern of holes in the sand.
During the dive, north of the Azores, near Portugal's mainland, on July 23, they saw about a dozen sets of holes resembling a track of lines on the ocean floor, at a depth of 1.6 miles (2.6km).
Then about a week later, on Thursday, there were four more sightings on the Azores Plateau, which is underwater terrain where three tectonic plates meet. Those holes were about 1 mile deep and about 300 miles away from the site of the expedition's initial discovery.
The scientists do not know what the holes are, but they have encountered similar markings before and consider them to be "lebensspuren", German for "life traces", referring to impressions in sediments that could be the work of living organisms.
The question the scientists are posing, to themselves and to the public in posts on Twitter and Facebook, is: What is creating those marks on the ocean floor?
"The origin of the holes has scientists stumped," said the post on Twitter from the National Oceanic and Atmospheric Administration's (NOAA) Ocean Exploration project.
"The holes look human made, but the little piles of sediment around them suggest they were excavated by…something."
Nearly two decades ago, just about 27 miles away from the location of the current expedition's initial sighting, scientists spotted similar holes during an exploration, said Emily Crum, a NOAA spokesman.
But the passage of time has not provided any clear answers, said Dr Michael Vecchione, a NOAA deep-sea biologist who participated in that project and is also involved in part of this latest expedition.
"There is something important going on there, and we don't know what it is," Dr Vecchione said. "This highlights the fact that there are still mysteries out there."
The holes are but one of the questions that scientists on an ambitious ocean expedition are probing as they explore the Mid-Atlantic Ridge, which is a section of a massive deep-ocean range of mountains and stretches for more than 10,000 miles beneath the Atlantic Ocean.
Experts with NOAA are seeking answers during three expeditions that they are calling Voyage to the Ridge 2022, which began in May and will conclude in September, in journeys that are taking them from the waters off Newport, Rhode Island, to the Azores and back to Puerto Rico in the Caribbean.
Explorers want to know what lives along the continuous range of underwater volcanoes and what happens when geologic processes that create life-supporting heat are halted.
They are paying close attention to deep-sea coral and sponge communities, which are "some of the most valuable marine ecosystems on Earth", said Mr Derek Sowers, an expedition coordinator aboard the NOAA ship, the Okeanos Explorer.

Mr Sowers said that expeditions such as the Voyage of the Ridge projects were fundamental to establishing an understanding of the biodiversity of the planet and "the novel compounds produced by all of these life-forms".
And they want to know more about areas where seawater is heated by magma, with deep-sea life deriving energy from this source and chemicals, instead of the sun, like most life on Earth.
"This has expanded our understanding of under what conditions life on other planets may occur," Mr Sowers said.

After the agency turned to social media in an effort to engage the public, dozens of comments streamed in, with some delving into speculation.
Are the holes human-made? Could they be a sign from extraterrestrials? Are they tracks left by a submarine? Could they be the breathing holes of a "deep sea creature that buries itself under the sand"?
That last guess was not necessarily so far-fetched, Dr Vecchione said.

In a paper about the holes spotted in 2004, Dr Vecchione and his co-author Odd Aksel Bergstad, a former researcher at the Institute of Marine Research in Norway, proposed two main hypotheses for why the holes exist. Both involved marine life, either walking or swimming above the sediment and poking holes down, or the inverse scenario, burrowing within the sediment and jabbing holes up.
The holes seen on Thursday appeared to have been pushed out from underneath, Dr Vecchione said.
The remotely operated vehicle's suctioning device collected sediment samples to examine whether there was an organism inside the holes, Mr Sowers said.
Dr Vecchione said that while he was pleased about encountering the ocean floor holes again, he was "a little disappointed" that scientists still lacked an explanation.
"It reinforces the idea that there is a mystery that someday we will figure out," he said. "But we haven't figured it out yet."
One last dive, which will be livestreamed, remains to be carried out in the second expedition of the series, NOAA said. The third expedition begins Aug 7.


